
Quick facts
Common name - Oriental chestnut gall wasp
Scientific name - Dryocosmus kuriphilus
Plants affected - Sweet chestnut (Castanea sativa)
Main symptoms - Galls on growth buds and leaves
Most active - Galls develop in the spring
What are oriental chestnut gall wasps?
Oriental chestnut gall wasps are small insects (2.5-3 mm) with black bodies and orange brown legs. Originating from Asia, this species arrived in Europe in 2002 and was first recorded in Britain in 2015 in a woodland in Kent and later in the same year in Hertfordshire. In these cases affected trees were destroyed in an attempt to stop the insect becoming established in the UK. In 2016 however, the gall wasp was found in several areas of London extending into Surrey. By March 2020 the wasp had become fairly widespread in south east England.
Oriental chestnut gall wasp is notifiable so please report sightings via Forest Research TreeAlert.
More information from Forest Research can be found here.
The citizen science project Check a Sweet Chestnut ran until the 30th October 2022 and called on the public to go and check on their local sweet chestnut trees to see if they find the oriental chestnut gall wasp symptoms. The original project has now closed, but you can still contribute to research in your local area by following the steps on the Check a Sweet Chestnut web profile.
There are more than 900 plant gall forming animals in the UK, including mites, beetles, flies, gall wasps, plant sucking bugs (psyllids), aphids and sawflies. Almost all are harmless and part of the their host plants support.
The British Plant Gall Society encourages and co-ordinates the study of plant galls in the British Isles.
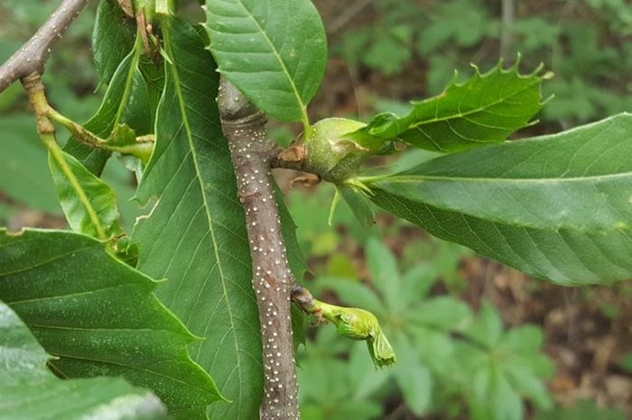
Symptoms
- Green, rose-coloured or red galls up to 4 cm in diameter on the buds, leaves, and petioles (leaf stalks)
- Leaf distortion as a result of the growth of the galls
- Leaves affected by the gall wasp can drop early, or remain on the tree throughout the winter
Management
Whilst this insect is unlikely to affect the long term vigour of sweet chestnuts it can affect appearance and the crop of chestnuts. Other than destruction of affected trees there is no control for this insect. The larvae are protected within the galls.
In Japan, North America and Italy a parasitoid wasp (Torymus sinensis) has been released as a biological control agent. This parasitoid has recently been detected in south east England as a natural introduction. Following extensive research it has also been artificially introduced to several sites in southern England to help manage the oriental chestnut gall wasp.
More information on the gall was and its control can be found from Forest Research.
Biology
The adult female wasps deposit clusters of up to 30 eggs in summer (June to July) on the developing buds of sweet chestnut trees. The eggs hatch after 30 to 40 days and the larvae grow very slowly through autumn and winter, overwintering in the buds. The galls develop from mid-April as the larvae feed within them for 20-30 days before pupating. New adults emerge from the end of May until the end of July. All adult wasps found to date have been female and do not need to in order to lay eggs (they are parthenogenetic).









